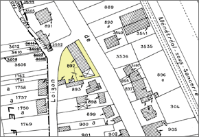
Localisation
Références cadastrales : 1988 A2 892
Milieu d’implantation : en village
Description
Matériau (x)du gros œuvre et mise en œuvre : calcaire ; moellon ; enduit
Matériau (x) de la couverture : ardoise
Etat de conservation : moyen
Historique
Siècle(s): 3e quart 19e siècle
Commentaire historique : mairie-école de garçons construite en 1865 d’après les plans de l’architecte d’arrondissement Charles Guillard ; la mairie a été transférée rue du canal en 1984.
Statut juridique
Propriété communale
Nature de la protection M.H.
sans
Observation
Construction à étage de type néo-classique, selon un modèle de mairie-école peu fréquent sur le canton.
Date de l’enquête
2004


