
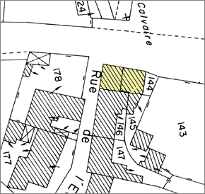
Localisation
Références cadastrales : 1991 AB 145, 146
Milieu d’implantation : en village
Description
Matériau (x)du gros œuvre et mise en œuvre : grès ; calcaire ; moellon ; enduit
Matériau (x) de la couverture : tuile plate
Etat de conservation : bon
Historique
Siècle(s): limite 18e siècle 19e siècle
Commentaire historique : cette maison existe sur le cadastre de 1819 mais elle a perdu son unité parcellaire.
Statut juridique
Propriété privée
Nature de la protection M.H.
sans
Observation
C’est une des rares maisons antérieures au développement du village au milieu du 19e siècle et encore en bon état de conservation.
Date de l’enquête
2004

